Извещение о проведении заседания согласительной комиссии по Винницкому сельскому поселению Подпорожского района

6 октября 2025 года
Извещение о проведении заседания согласительной комиссии по Винницкому сельскому поселению Подпорожского района

ИЗВЕЩЕНИЕ О ПРОВЕДЕНИИ ЗАСЕДАНИЯ СОГЛАСИТЕЛЬНОЙ КОМИССИИ ПО ВОПРОСУ СОГЛАСОВАНИЯ МЕСТОПОЛОЖЕНИЯ ГРАНИЦ ЗЕМЕЛЬНЫХ УЧАСТКОВ ПРИ ВЫПОЛНЕНИИ КОМПЛЕКСНЫХ КАДАСТРОВЫХ РАБОТ 2025 (с. Винницы)

В отношении объектов недвижимого имущества, расположенных на территории кадастрового квартала: 47:05:0908001, 47:05:0908003, 47:05:0908004, 47:05:1001001, 47:05:1004001, 47:05:1109001, 47:05:1109002, 47:05:1201001 субъект Российской Федерации: Ленинградская область, муниципальное образование: Подпорожский муниципальный район, Винницкое сельское поселение, с. Винницы,

выполняются комплексные кадастровые работы в соответствии с Дополнительным Соглашением от 11.09.2025 № 321-20-2025-002/7 к соглашению о предоставлении из федерального бюджета субсидий, в том числе грантов в форме субсидий, юридическим лицам, индивидуальным предпринимателям, а также физическим лицам от 30.01.2025 № 321-20-2025-002.

Уведомляем всех заинтересованных лиц о завершении подготовки проектов карт-планов территорий, с которыми можно ознакомиться по адресу работы согласительной комиссии: Ленинградская область, Подпорожский район, с. Винницы, ул. Советская, д. 79 (телефон 81365-45-189) или на официальных сайтах в информационно-телекоммуникационной сети «Интернет»:

  • Администрации Винницкого сельского поселения Подпорожского муниципального района Ленинградской области» http://винницы.рф
  • Правительства Ленинградской области (Исполнительный орган государственной власти субъекта Российской Федерации, на территории которого проводятся комплексные кадастровые работы) http://kugi.lenobl.ru
  • Управление Федеральной службы государственной регистрации, кадастра и картографии по Ленинградской области (Орган кадастрового учета) https://rosreestr.gov.ru

Заседание согласительной комиссии по вопросу согласования местоположения границ земельных участков, в отношении которых проводятся комплексные кадастровые работы на территории кадастрового квартала 47:05:0908001 (с. Винницы), 47:05:0908003 (с. Винницы), 47:05:0908004 (с. Винницы), 47:05:1001001 (п. Кузра), 47:05:1004001 (д. Ярославичи), 47:05:1109001 (д. Лукинская), 47:05:1109002 (д. Лукинская), 47:05:1201001
(п. Курба)  состоится по адресу: Ленинградская область, с. Винницы, ул. Советская, д. 79, 27 октября 2025 года в 11 часов 00 минут.

Для участия в согласовании местоположения границ при себе необходимо иметь документ, удостоверяющий личность, а также документы, подтверждающие права на соответствующий земельный участок.

Обоснованные возражения относительно местоположения границ земельных участков, содержащихся в проекте карты-плана территории, можно представить в согласительную комиссию в письменной форме в период с 06 октября 2025 года по 27 октября 2025 года и с 28 октября 2025 года по 02 декабря 2025 года.

Возражения оформляются в соответствии с частью 15 статьи 42.10 Федерального закона от 24 июля 2007 г. № 221-ФЗ «О государственном кадастре недвижимости» и включают в себя сведения о лице, направившем данное возражение, в том числе фамилию, имя и (при наличии) отчество, а также адрес правообладателя и (или) адрес электронной почты правообладателя, реквизиты документа, удостоверяющего его личность, обоснование причин его несогласия с местоположением границы земельного участка, кадастровый номер земельного участка (при наличии) или обозначение образуемого земельного участка в соответствии с проектом карты-плана территории. К указанным возражениям должны быть приложены копии документов, подтверждающих право лица, направившего данное возражение, на такой земельный участок, или иные документы, устанавливающие или удостоверяющие права на такой земельный участок, а также документы, определяющие (определявшие) местоположение границ при образовании такого земельного участка (при наличии).

В случае отсутствия таких возражений местоположение границ земельных участков считается согласованным.

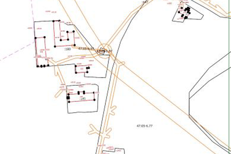
47:05:0908001 схема границ, карта план

47:05:0908003 схема границ, карта план

47:05:0908004 схема границ, карта план

47:05:1001001 схема границ, карта план

47:05:1004001 схема границ, карта план

47:05:1109001 схема границ, карта план

47:05:1109002 схема границ, карта план

47:05:1201001 схема границ, карта план