Извещение о проведении заседания согласительной комиссии в Пикалево Бокситогорского района
|
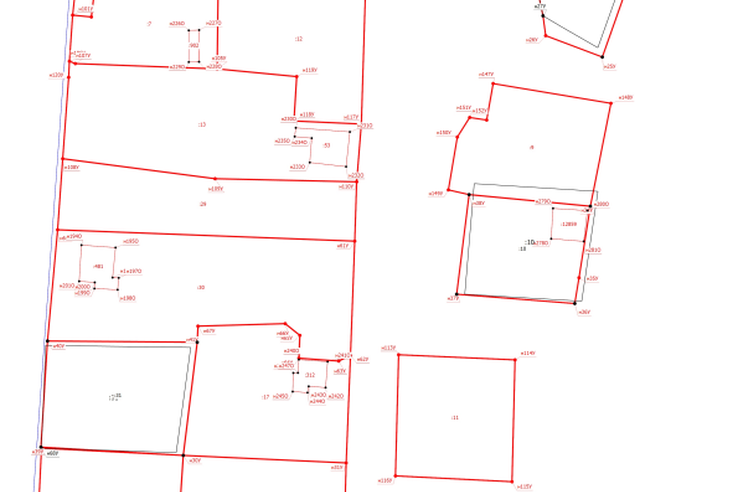
ИЗВЕЩЕНИЕ О ПРОВЕДЕНИИ ЗАСЕДАНИЯ СОГЛАСИТЕЛЬНОЙ КОМИССИИ ПО ВОПРОСУ СОГЛАСОВАНИЯ МЕСТОПОЛОЖЕНИЯ ГРАНИЦ ЗЕМЕЛЬНЫХ УЧАСТКОВ ПРИ ВЫПОЛНЕНИИ КОМПЛЕКСНЫХ КАДАСТРОВЫХ РАБОТ |
||||||||||||||||||||
|
В отношении объектов недвижимого имущества, расположенных на территории кадастрового квартала (территориях нескольких смежных кадастровых кварталов): |
||||||||||||||||||||
|
субъект Российской Федерации |
Ленинградская область |
, |
||||||||||||||||||
|
муниципальное образование |
Пикалевское городское поселение Бокситогорского муниципального района |
, |
||||||||||||||||||
|
населенный пункт |
г. Пикалево |
, |
||||||||||||||||||
|
№ кадастрового квартала (нескольких смежных кадастровых кварталов): 47:19:0105028, 47:19:0106001 |
||||||||||||||||||||
|
выполняются комплексные кадастровые работы. |
||||||||||||||||||||
|
Уведомляем всех заинтересованных лиц о завершении подготовки проекта карты-плана территории, с которым можно ознакомиться по адресу работы согласительной комиссии: |
||||||||||||||||||||
|
|
Ленинградская область, Бокситогорский район, г. Бокситогорск, ул. Социалистическая, д. 9 |
|
||||||||||||||||||
|
или на официальных сайтах в информационно-телекоммуникационной сети «Интернет»: |
||||||||||||||||||||
|
|
Управление Федеральной службы государственной регистрации, кадастра и картографии по Ленинградской области |
|
; |
|||||||||||||||||
|
|
Правительство Ленинградской области |
|
; |
|||||||||||||||||
|
|
Управление Федеральной службы государственной регистрации, кадастра и картографии по Ленинградской области |
|
. |
|||||||||||||||||
|
Заседание второй согласительной комиссии по вопросу согласования местоположения границ земельных участков, в отношении которых проводятся комплексные кадастровые работы на территории кадастрового квартала (нескольких смежных кадастровых кварталов): 47:19:0105028, 47:19:0106001 |
||||||||||||||||||||
|
состоится по адресу: |
Ленинградская область, Бокситогорский район, г. Бокситогорск, |
|
||||||||||||||||||
|
«26» ноября 2025 г. в 15 часов 20 минут. |
||||||||||||||||||||
|
Для участия в согласовании местоположения границ при себе необходимо иметь документ, удостоверяющий личность, а также документы, подтверждающие права на соответствующий земельный участок. |
||||||||||||||||||||
|
Обоснованные возражения относительно местоположения границ земельных участков, содержащегося в проекте карты-плана территории, можно представить в согласительную комиссию в письменной форме по «25» ноября 2025 г. |
||||||||||||||||||||
|
Возражения оформляются в соответствии с частью 15 статьи 42.10 Федерального закона от 24 июля 2007 г. № 221-ФЗ «О кадастровой деятельности» и включают в себя сведения о лице, направившем данные возражения, в том числе фамилию, имя и (при наличии) отчество, а также адрес правообладателя и (или) адрес электронной почты правообладателя, реквизиты документа, удостоверяющего его личность, обоснование причин его несогласия с местоположением границ земельного участка, кадастровый номер земельного участка (при наличии) или обозначение образуемого земельного участка в соответствии с проектом карты-плана территории. К указанным возражениям должны быть приложены копии документов, подтверждающих право лица, направившего данные возражения, на такой земельный участок, или иные документы, устанавливающие или удостоверяющие права на такой земельный участок, а также документы, определяющие или определявшие местоположение границ при образовании такого земельного участка (при наличии). |
||||||||||||||||||||
|
В случае отсутствия таких возражений местоположение границ земельных участков считается согласованным. Проекты карт-планов территорий размещены на официальном сайте администрации Бокситогорского муниципального района Ленинградской области по адресу: http://www.adm.boksitogorsk.ru/region/imushchestvo-i-zemlya/kompleksnye-kadastrovye-raboty.php |
||||||||||||||||||||