Диапазон дат

Новости

Муниципальный земельный контроль — путь к порядку и красоте в регионе

Муниципальный земельный контроль — путь к порядку и красоте в регионе

Сегодня на аппаратном совещании руководитель КУГИ Марина Тоноян представила доклад о состоянии земельного контроля в Ленобласти.   Администрациям рекомендовано активнее проводить профилактические и контрольные мероприятия для предотвращения нарушений.  Новшества законодательства ввели обязательность освоения земельных участков в течение трёх лет. Теперь именно эффективный земельный контроль станет гарантом соблюдения новых норм, а также позволит предотвращать захламление, загрязнение, зарастание наделов борщевиком. Какие шаги необходимо предпринять местным властям: 📍усилить взаимодействие с прокуратурой для согласования проверок 📍материалы о нарушителях, которые не реагируют на предписания и предостережения, направлять в Росреестр, Россельхознадзор, в Росприроднадзор для привлечения к административной ответственности  📍создать отдельные подразделения в муниципалитетах, которые бы занимались исключительно данным направлением. #КУГИЛО #ленобласть #47р

06 октября 2025
Извещение о проведении заседания согласительной комиссии в Ефимовском ГП Бокситогорского района

Извещение о проведении заседания согласительной комиссии в Ефимовском ГП Бокситогорского района

ИЗВЕЩЕНИЕ О ПРОВЕДЕНИИ ЗАСЕДАНИЯ СОГЛАСИТЕЛЬНОЙ КОМИССИИ ПО ВОПРОСУ СОГЛАСОВАНИЯ МЕСТОПОЛОЖЕНИЯ ГРАНИЦ ЗЕМЕЛЬНЫХ УЧАСТКОВ ПРИ ВЫПОЛНЕНИИ КОМПЛЕКСНЫХ КАДАСТРОВЫХ РАБОТ В отношении объектов недвижимого имущества, расположенных на территории кадастрового квартала (территориях нескольких смежных кадастровых кварталов): субъект Российской Федерации Ленинградская область муниципальное образование Ефимовское городское поселение Бокситогорского муниципального района населенный пункт гп. Ефимовский № кадастрового квартала (нескольких смежных кадастровых кварталов): 47:18:0248001 выполняются комплексные кадастровые работы. Уведомляем всех заинтересованных лиц о завершении подготовки проекта карты-плана территории, с которым можно ознакомиться по адресу работы согласительной комиссии: Ленинградская область, Бокситогорский район, г. Бокситогорск, ул. Социалистическая, д. 9 или на официальных сайтах в информационно-телекоммуникационной сети &l

06 октября 2025
Извещение о проведении заседания согласительной комиссии по Бугровскому городскому поселению Всеволожского района

Извещение о проведении заседания согласительной комиссии по Бугровскому городскому поселению Всеволожского района

Извещение о проведении второго заседания согласительной комиссии по вопросу согласования местоположения границ земельных участков при выполнении комплексных кадастровых работ В отношении объектов недвижимости, расположенных на территории   кадастрового квартала 47:07:0713002 Субъект Российской Федерации: Ленинградская область Муниципальное образование: Бугровское городское поселение Всеволожского муниципального района Ленинградской области Населенный пункт: д.Мистолово, д.Энколово, д.Сярьги выполняются комплексные кадастровые работы в соответствии с Соглашением о предоставлении из федерального бюджета субсидий, в том числе грантов в форме субсидий, юридическим лицам, индивидуальным предпринимателям, а также физическим лицам от 30.01.2025 № 321-20-2025-002, заключенным со стороны заказчика: Управление Росреестра по Ленинградской области почтовый адрес: 197198, Санкт-Петербург, ул. Блохина д. 8, лит. А адрес электронной почты: 47_upr@rosreestr.ru, номер контактного теле

06 октября 2025
Извещение о проведении заседания комиссии по Кузьмоловскому городскому поселению Всеволожского района

Извещение о проведении заседания комиссии по Кузьмоловскому городскому поселению Всеволожского района

Извещение о проведении второго заседания согласительной комиссии по вопросу согласования местоположения границ земельных участков при выполнении комплексных кадастровых работ В отношении объектов недвижимости, расположенных на территории   кадастрового квартала 47:07:0713002 Субъект Российской Федерации: Ленинградская область Муниципальное образование: Кузьмоловское городское поселение Всеволожского муниципального района Ленинградской области Населенный пункт:  г.п.Кузьмоловский выполняются комплексные кадастровые работы в соответствии с Соглашением о предоставлении из федерального бюджета субсидий, в том числе грантов в форме субсидий, юридическим лицам, индивидуальным предпринимателям, а также физическим лицам от 30.01.2025 № 321-20-2025-002, заключенным со стороны заказчика: Управление Росреестра по Ленинградской области почтовый адрес: 197198, Санкт-Петербург, ул. Блохина д. 8, лит. А адрес электронной почты: 47_upr@rosreestr.ru, номер контактного телефона: +

06 октября 2025
Извещение о проведении заседания согласительной комиссии в деревне Дыми Бокситогорского района

Извещение о проведении заседания согласительной комиссии в деревне Дыми Бокситогорского района

ИЗВЕЩЕНИЕ О ПРОВЕДЕНИИ ЗАСЕДАНИЯ СОГЛАСИТЕЛЬНОЙ КОМИССИИ ПО ВОПРОСУ СОГЛАСОВАНИЯ МЕСТОПОЛОЖЕНИЯ ГРАНИЦ ЗЕМЕЛЬНЫХ УЧАСТКОВ ПРИ ВЫПОЛНЕНИИ КОМПЛЕКСНЫХ КАДАСТРОВЫХ РАБОТ В отношении объектов недвижимого имущества, расположенных на территории кадастрового квартала (территориях нескольких смежных кадастровых кварталов): субъект Российской Федерации Ленинградская область, муниципальное образование Бокситогорского муниципального района, населенный пункт д. Дыми (47:18:0140001) № кадастрового квартала (нескольких смежных кадастровых кварталов): 47:18:0140001, 47:18:0143001, 47:18:0144003 выполняются комплексные кадастровые работы.  Уведомляем всех заинтересованных лиц о завершении подготовки проекта карты-плана территории, с которым можно ознакомиться по адресу работы согласительной комиссии: Ленинградская область, Бокситогорский район, г. Бокситогорск, ул. Социалистическая, д. 9 или на официальных сайтах в информационно-телеком

06 октября 2025
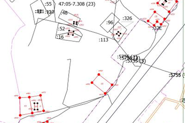
Извещение о проведении заседания согласительной комиссии по д. Гимерка Подпорожского района

Извещение о проведении заседания согласительной комиссии по д. Гимерка Подпорожского района

ИЗВЕЩЕНИЕ О ПРОВЕДЕНИИ ЗАСЕДАНИЯ СОГЛАСИТЕЛЬНОЙ КОМИССИИ ПО ВОПРОСУ СОГЛАСОВАНИЯ МЕСТОПОЛОЖЕНИЯ ГРАНИЦ ЗЕМЕЛЬНЫХ УЧАСТКОВ ПРИ ВЫПОЛНЕНИИ КОМПЛЕКСНЫХ КАДАСТРОВЫХ РАБОТ 2025 (д.Гимрека) В отношении объектов недвижимого имущества, расположенных на территории кадастрового квартала: 47:05:0702001 субъект Российской Федерации: Ленинградская область, муниципальное образование: Подпорожский муниципальный район, Вознесенское городское поселение, д.Гимрека, выполняются комплексные кадастровые работы в соответствии с Дополнительным Соглашением от 11.09.2025 № 321-20-2025-002/7 к соглашению о предоставлении из федерального бюджета субсидий, в том числе грантов в форме субсидий, юридическим лицам, индивидуальным предпринимателям, а также физическим лицам от 30.01.2025 № 321-20-2025-002. Уведомляем всех заинтересованных лиц о завершении подготовки проектов карт-планов территорий, с которыми можно ознакомиться по адресу работы согласительной комиссии: Ленинградская область, Подпорожск

06 октября 2025
Извещение о проведении заседания согласительной комиссии в Бокситогорском районе

Извещение о проведении заседания согласительной комиссии в Бокситогорском районе

ИЗВЕЩЕНИЕ О ПРОВЕДЕНИИ ЗАСЕДАНИЯ СОГЛАСИТЕЛЬНОЙ КОМИССИИ ПО ВОПРОСУ СОГЛАСОВАНИЯ МЕСТОПОЛОЖЕНИЯ ГРАНИЦ ЗЕМЕЛЬНЫХ УЧАСТКОВ ПРИ ВЫПОЛНЕНИИ КОМПЛЕКСНЫХ КАДАСТРОВЫХ РАБОТ В отношении объектов недвижимого имущества, расположенных на территории кадастрового квартала (территориях нескольких смежных кадастровых кварталов): субъект Российской Федерации Ленинградская область, муниципальное образование Бокситогорское городское поселение Бокситогорского муниципального района населенный пункт д. Сегла, г. Бокситогорск № кадастрового квартала (нескольких смежных кадастровых кварталов): 47:18:0504001, 47:18:0531014 выполняются комплексные кадастровые работы.  Уведомляем всех заинтересованных лиц о завершении подготовки проекта карты-плана территории, с которым можно ознакомиться по адресу работы согласительной комиссии: Ленинградская область, Бокситогорский район, г. Бокситогорск, ул. Социалистическая, д. 9 или на официальных сайтах в информацио

06 октября 2025
Извещение о проведении заседания согласительной комиссии в г. Пикалёво Бокситогорского района

Извещение о проведении заседания согласительной комиссии в г. Пикалёво Бокситогорского района

ИЗВЕЩЕНИЕ О ПРОВЕДЕНИИ ЗАСЕДАНИЯ СОГЛАСИТЕЛЬНОЙ КОМИССИИ ПО ВОПРОСУ СОГЛАСОВАНИЯ МЕСТОПОЛОЖЕНИЯ ГРАНИЦ ЗЕМЕЛЬНЫХ УЧАСТКОВ ПРИ ВЫПОЛНЕНИИ КОМПЛЕКСНЫХ КАДАСТРОВЫХ РАБОТ В отношении объектов недвижимого имущества, расположенных на территории кадастрового квартала (территориях нескольких смежных кадастровых кварталов): субъект Российской Федерации Ленинградская область, муниципальное образование Пикалевское городское поселение Бокситогорского муниципального района населенный пункт г. Пикалево № кадастрового квартала (нескольких смежных кадастровых кварталов): 47:19:0101004, 47:19:0101017 выполняются комплексные кадастровые работы.  Уведомляем всех заинтересованных лиц о завершении подготовки проекта карты-плана территории, с которым можно ознакомиться по адресу работы согласительной комиссии: Ленинградская область, Бокситогорский район, г. Бокситогорск, ул. Социалистическая, д. 9 или на официальных сайтах в информационно-телекоммуника

06 октября 2025
Извещение о проведении заседания согласительной комиссии в Борском сельском поселении Бокситогорского района

Извещение о проведении заседания согласительной комиссии в Борском сельском поселении Бокситогорского района

ИЗВЕЩЕНИЕ О ПРОВЕДЕНИИ ЗАСЕДАНИЯ СОГЛАСИТЕЛЬНОЙ КОМИССИИ ПО ВОПРОСУ СОГЛАСОВАНИЯ МЕСТОПОЛОЖЕНИЯ ГРАНИЦ ЗЕМЕЛЬНЫХ УЧАСТКОВ ПРИ ВЫПОЛНЕНИИ КОМПЛЕКСНЫХ КАДАСТРОВЫХ РАБОТ В отношении объектов недвижимого имущества, расположенных на территории кадастрового квартала (территориях нескольких смежных кадастровых кварталов): субъект Российской Федерации Ленинградская область, муниципальное образование Борское сельское поселение Бокситогорского муниципального района населенный пункт д. Мозолево-1 № кадастрового квартала (нескольких смежных кадастровых кварталов): 47:18:0601001 выполняются комплексные кадастровые работы.  Уведомляем всех заинтересованных лиц о завершении подготовки проекта карты-плана территории, с которым можно ознакомиться по адресу работы согласительной комиссии: Ленинградская область, Бокситогорский район, г. Бокситогорск, ул. Социалистическая, д. 9 или на официальных сайтах в информационно-телекоммуникационной сети «Инт

06 октября 2025
Извещение о проведении заседания согласительной комиссии по Вознесенскому городскому поселению Подпорожского районе

Извещение о проведении заседания согласительной комиссии по Вознесенскому городскому поселению Подпорожского районе

ИЗВЕЩЕНИЕ О ПРОВЕДЕНИИ ЗАСЕДАНИЯ СОГЛАСИТЕЛЬНОЙ КОМИССИИ ПО ВОПРОСУ СОГЛАСОВАНИЯ МЕСТОПОЛОЖЕНИЯ ГРАНИЦ ЗЕМЕЛЬНЫХ УЧАСТКОВ ПРИ ВЫПОЛНЕНИИ КОМПЛЕКСНЫХ КАДАСТРОВЫХ РАБОТ 2025 (г.п. ВОЗНЕСЕНЬЕ) В отношении объектов недвижимого имущества, расположенных на территории кадастрового квартала: 47:05:0401001 субъект Российской Федерации: Ленинградская область, муниципальное образование: Подпорожский муниципальный район, Вознесенское городское поселение, г.п. Вознесенье, выполняются комплексные кадастровые работы в соответствии с Дополнительным Соглашением от 11.09.2025 № 321-20-2025-002/7 к соглашению о предоставлении из федерального бюджета субсидий, в том числе грантов в форме субсидий, юридическим лицам, индивидуальным предпринимателям, а также физическим лицам от 30.01.2025 № 321-20-2025-002. Уведомляем всех заинтересованных лиц о завершении подготовки проектов карт-планов территорий, с которыми можно ознакомиться по адресу работы согласительной комиссии: Ленинградская обла

06 октября 2025